Archives
-

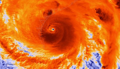
US Weather Forecast Suggests Tropical Storm Agatha Can Hit Florida as a Hurricane Next Week
Tropical Storm Agatha has been forecasted to become the first hurricane this year to hit the United States should it reach the shores of Florida or the Gulf Coast.
Latest Research Articles
-

'Fuel of Evolution' Is More Prevalent in Wild Animals Than Previously Imagined
-

Activist are Afraid that Renewable Energy Sources Might Endanger Biodiversity
Is Your American Refrigerator Energy-Efficient?
-

According to Scientists, Climate Change Resilience Anticipated for British Corals
-

Throwing Goldfish in Rivers May Result to Ecological Disaster, Experts Warn Pet Owners
-

CMEs: Solar Particles Can Create Aurora Displays, But May Also Cause Worldwide Disruptions
-

For Memorial Day Weekend, Expect Cool Temperatures and Rain
Human's Appetite For Egg Drove this Giant Australian Birds to Extinction
Hummingbirds Face Possible Extinction Due to Global Warming
-

State of Washington to Set Up 1,000 Traps Against Giant ‘Murder’ Hornets
Next Pandemic May Come From Super Bacteria Unleashed by Melting Permafrost
-

U.K. Scientist Warns Radioactive Gas Trapped Beneath the North’s Melting Permafrost ‘Might Get Out’





