
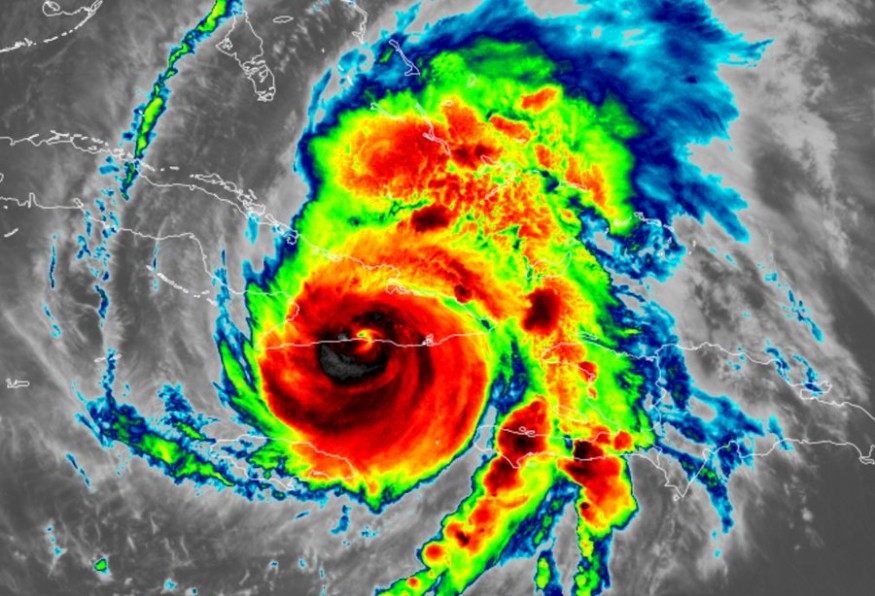
Hurricane Melissa has carved a path of destruction across the Caribbean, becoming one of the strongest Atlantic storms ever recorded.
The massive system made landfall near New Hope, Jamaica, on Tuesday afternoon with sustained winds of 185 mph (297 km/h)and a central pressure of 892 millibars, ranking it among the most intense hurricanes in history.
According to AccuWeather, Melissa is the most powerful Atlantic hurricane of 2025, unleashing catastrophic flooding, landslides, and coastal surges that have overwhelmed Jamaica's infrastructure. Entire communities remain cut off as rescuers battle submerged roads and collapsed bridges.
The National Hurricane Centre (NHC) warned of up to 750 mm of rainfall in mountainous regions — a deluge capable of triggering deadly flash floods and mudslides.
Jamaica Devastated by Historic Landfall
The Weather Channel described Melissa's impact as 'catastrophic', with homes stripped of roofs, power grids disabled, and trees uprooted islandwide. Emergency shelters across Kingston and St. Elizabeth reached capacity within hours.
Prime Minister Andrew Holness declared a state of national emergency, calling the storm 'a generational disaster.' Recovery teams are now conducting search-and-rescue operations as the island begins counting casualties.
'This is unlike anything Jamaica has ever experienced,' a senior meteorologist told The Gleaner.
'Melissa's strength defied forecasts, escalating from Category 3 to Category 5 in less than 24 hours.'
Cuba Braces as Melissa Makes Second Landfall
After devastating Jamaica, Hurricane Melissa made its second landfall early Wednesday morning near Chivirico in southeastern Cuba as a Category 3 hurricane, with winds of 120 mph. The storm brought up to 600 mm of rain in mountainous regions and storm surges exceeding 3 metres, prompting Cuban authorities to issue shelter-in-place orders and suspend transport across affected provinces.
Tonight, severe flooding in Santiago de Cuba, Cuba, caused by Hurricane Melissa. pic.twitter.com/BodNkinuEx
— Weather Monitor (@WeatherMonitors) October 29, 2025
Melissa's passage through Cuba has slightly weakened its intensity, but meteorologists caution that the hurricane remains dangerous. The system continues to churn across the island, with its eye expected to exit Cuban territory by Wednesday evening.
Although the storm weakened slightly as it crossed Cuba's mountainous terrain, meteorologists caution that it remains 'highly dangerous' as it moves toward open waters.
Southeast Bahamas and Bermuda in the crosshairs
The hurricane is now projected to sweep through the southeast Bahamas today, bringing strong winds, heavy rainfall, and coastal flooding, before approaching Bermuda late Thursday. A hurricane watch is currently in effect for Bermuda, with officials urging residents to prepare for potential landfall or near-miss conditions.
Weather Alert – U.S. Embassy Nassau, The Bahamas (October 27, 2025) Hurricane Melissa has intensified and is now a Category 5 Hurricane. A Hurricane Watch is now in effect for the Turks and Caicos Islands and Central and Southeast Bahamas, including Exuma and its Cays, meaning... pic.twitter.com/27VmXzYQlx
— U.S. Embassy Nassau (@USEmbassyNassau) October 27, 2025
Forecasters warn that Melissa's force will persist as it moves northeastward, maintaining hurricane strength as it nears Bermuda. The island's emergency services have activated contingency protocols, and residents are advised to secure property and stock essential supplies.
Regional Response and International Aid
Caribbean governments have mobilised emergency response teams as Hurricane Melissa continues to impact the region. Jamaica has been declared a disaster area following the storm's Category 5 landfall, and emergency crews are conducting search-and-rescue operations.
International aid organisations, including the Red Cross, the UN, and the World Food Programme, are coordinating relief efforts focused on medical assistance, food distribution, and temporary shelter.
The Caribbean Disaster Emergency Management Agency (CDEMA) has placed its regional response teams on standby to support affected nations, including Jamaica and Cuba. Meanwhile, regional partners such as the Dominican Republic and Haiti are coordinating with international agencies on logistics and information sharing.
Climate Context and Historical Significance

Meteorologists and climate scientists are closely monitoring Hurricane Melissa's trajectory and intensity, noting its unprecedented strength and rapid intensification. They suggest that warming ocean temperatures may be contributing to the formation of more powerful storms in the Atlantic Basin.
The landfall is expected to be remembered as one of the most powerful in Atlantic history. Melissa's impact is being compared to historic hurricanes such as Gilbert (1988) and Ivan (2004), both of which left lasting scars on the Caribbean region. Scientists are studying the storm's path and behaviour to improve predictive models and strengthen disaster preparedness efforts.
What's Comes Next
As Melissa barrels toward Bermuda and the southeast Bahamas, authorities continue to warn of life-threatening conditions — including hurricane-force winds, coastal flooding, and heavy rain.
Recovery in Jamaica and Cuba is already underway, but officials caution that complete restoration of power, transport, and water infrastructure could take months.
With the hurricane season still far from over, regional governments remain on high alert, reinforcing evacuation routes and emergency stockpiles.
For millions across the Caribbean, Hurricane Melissa will be remembered not only as a storm of historic power, but also as a sobering glimpse into the future of climate-fuelled weather extremes.
Originally published on IBTimes UK
© Copyright IBTimes 2025. All rights reserved.





